تفاصيل مناطق السياحة البيئية
محمية جزيرة صير بونعير
بالنسبة للشعراء في دولة الإمارات العربية المتحدة، تعد جزيرة صير بونعير تجسيداً مادياً "للدموع" التي ذرفت في مياه الخليج العربي. تشتهر هذه الجزيرة البالغ طولها أربعة كيلومترات، والمعروفة بشكلها غير التقليدي – على نمط ذيل الحصان- بتقديم فرصة اكتشاف معالم فريدة على اليابسة وفي البحر.
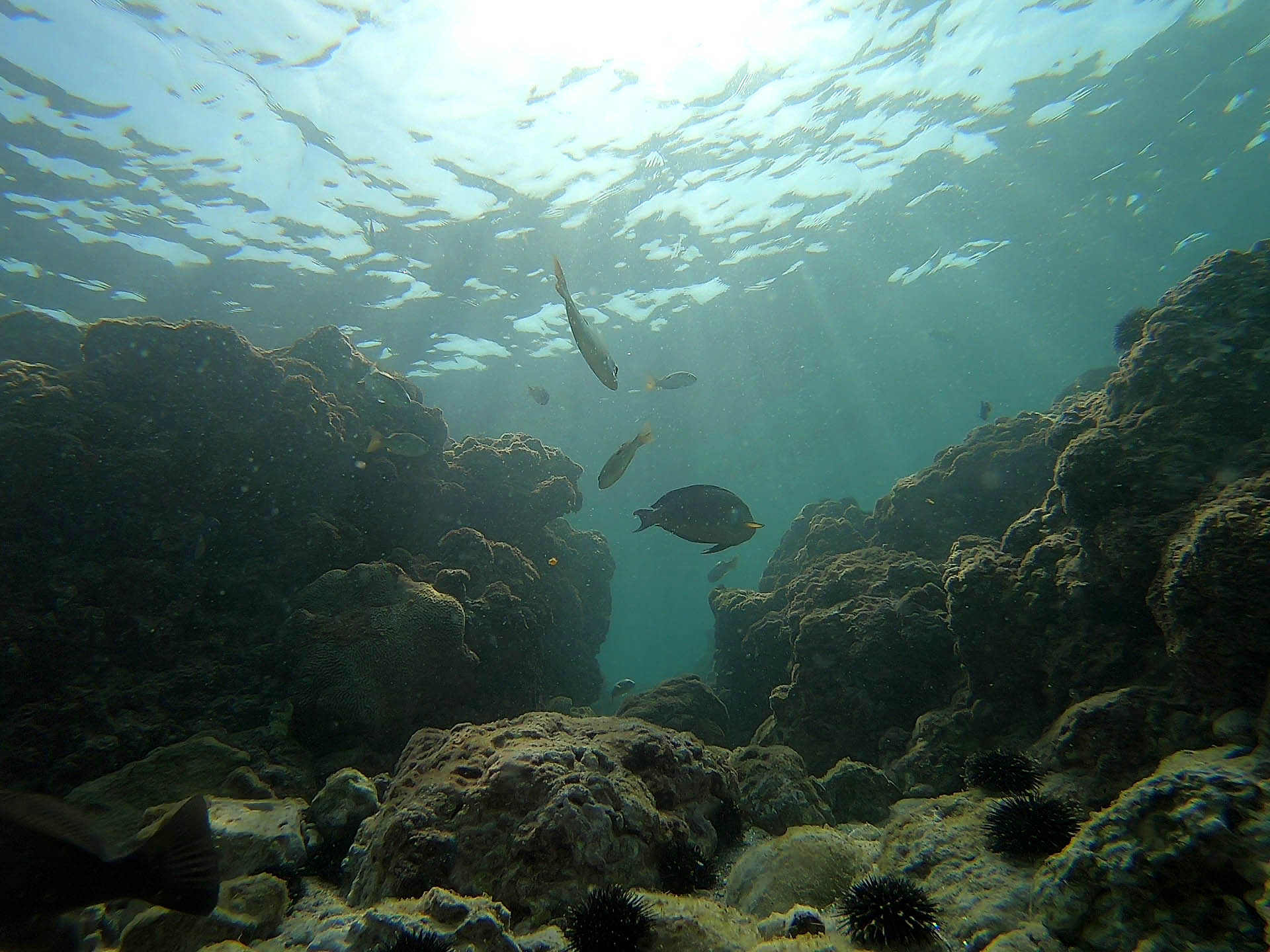
بالنسبة للشعراء في دولة الإمارات العربية المتحدة، تعد جزيرة صير بونعير تجسيداً مادياً "للدموع" التي ذرفت في مياه الخليج العربي. تشتهر هذه الجزيرة البالغ طولها أربعة كيلومترات، والمعروفة بشكلها غير التقليدي – على نمط ذيل الحصان- بتقديم فرصة اكتشاف معالم فريدة على اليابسة وفي البحر. تقع هذه المحمية على بعد 112 كيلومترًا عن ساحل الشارقة، وتعد ملاذًا آمنًا لمجموعة متنوعة من الأنواع المهددة بالانقراض، مثل سلاحف منقار الصقر، والسلاحف البحرية الخضراء النادرة التي تأتي إلى شواطئ الجزيرة لوضع البيض بين شهري مارس ويونيو من كل عام. وبالنسبة للغواصين، تضم مياه البحر حول جزيرة صير بونعير أكثر من 76 نوعًا من الأسماك المرجانية و40 نوعًا من الشعاب المرجانية. ومن المثير للاهتمام، اكتشاف وجود سمك المعطف الأحمر في الجزيرة الذي لم يسبق اكتشافه في مياه الخليج من قبل.الحياة البحرية في هذه الجزيرة هي إحدى كنوزها الطبيعية فقط، حيث تحتوى أيضاَ على مستعمرات الطيور مثل النورس الأسخم (أبو صنين) وطيور الخرشنة التي تعشش في الجزيرة بالآلاف جنباً إلى جنب مع الغزلان والقنافذ والزواحف.
طبيعة الموقع
بحري
الأنشطة والفعاليات
الغوص ومشاهدة أنواع الشعاب المرجانية وأنواع الأسماك التي تعيش فيها بوفرة، وركوب القوارب وسباق المراكب الشراعية والعروض التراثية.
الموقع/ الخارطة
موسم الزيارة المقترح
من مارس إلى يونيو ( مهرجان صير بونعير التراثي البيئي - موسم سباق القفال)
ايام العمل
غير متوفر
رسوم الدخول
يتطلب الدخول التسجيل والتصريح من هيئة البيئة والمحميات الطبيعية
الموقع الالكترونى
الاتصال
هيئة البيئة والمحميات الطبيعية +971-65311501
رابط الفيديو
هل محتوى الصفحة ساعدك على الوصول للمطلوب؟
يمكنك مساعدتنا على التحسين من خلال تقديم ملاحظاتك حول تجربتك.

هل استخدمت خدماتنا في مركز الخدمة الخاص بنا أو رقميًا مؤخرًا؟